Земельный участок, Сергиев Посад
Сергиево-Посадский район
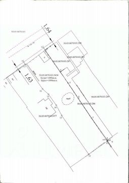
Кадастровый номер земельного участка 50:05:0070308:2877, участок отмежеван. Аренда с правом застройки. С правом строительства жилого дома и дальнейшего выкупа. Низкая стоимость участка обусловлена сроком аренды до 17.12.2027. Если Вы готовы построить дом за год, полтора - это прекрасный вариант. Если не успеете достроить дом - можно зарегистрировать объект незавершенного строительства и продлить аренду еще на три года. Требования к жилому дому для выкупа: Требования ПЗЗ + СНИПы к жилым домам одноквартирным. По ПЗЗ не менее 5% пятно застройки от площади ЗУ = 30 кв.м. По снипам площадь должна быть 36 кв.м. Адрес: Московская область, г.Сергиев Посад, ул. Советская, д.58а Площадь уточненная: 600 кв. м Статус: Ранее учтенный Категория земель: Земли населенных пунктов Вид разрешенного использования: для индивидуального жилищного и иного строительства Форма собственности: Муниципальная Дорога асфальтирована. Газ, центральная вода, канализация, свет. Забор профлист. Калитка металл. На схеме синей стрелкой обозначена вода, красной - газ. Канализация существующего дома выведена на другую улицу и арендуемый участок не пересекает, электричество также будет выведено на другую сторону и не будет пересекать арендуемый участок. Перенос газовой трубы основного дома в процессе переноса на другую улицу, таким образом газ не будет проходить через арендуемый участок. Настоящая аренда действует до 17.12.2027 Участок вблизи Троице-Сергиевой Лавры, в центре русского православия. В 1993 году архитектурный ансамбль Троице-Сергиевой лавры был включён в список объектов Всемирного наследия ЮНЕСКО. Лавра остаётся одним из главных духовных, культурных и исторических центров России. ГПЗУ, ГУКН заказаны. Юридическое сопровождение. Остановка и магазины рядом, до центра города Сергиев Посад - 20 минут пешком. Особым режимом использования земель и земельных участков в границах зоны регулирования застройки и хозяйственной деятельности с режимом ''ЗРЗ-3'' (участок ''Р3-7'') объекта культурного наследия федерального значения ''Архитектурный ансамбль Троице-Сергиевой Лавры в городе Сергиев Посад'', XIV - середина XX века'' (далее Объект) разрешается: строительство объектов капитального строительства, реконструкция существующих объектов капитального строительства в соответствии с установленными режимами использования земель и требований к градостроительным регламентам, капитальный ремонт объектов капитального строительства в существующих габаритах, сохранение сложившихся размеров земельных участков (парцелляция) в сложившихся основных параметрах, сохранение исторически сложившейся планировочной структуры и характера расположения зданий по сложившейся линии застройки с сохранением озеленения внутри кварталов застройки, размещение некапитальных строений, сооружений, прокладка, реконструкция, капитальный ремонт существующих наземных и надземных инженерных сетей, установка отдельно стоящего оборудования уличного освещения (соответствующего характеристикам элементов исторической среды), с последующим благоустройством территории и рекультивацией нарушенных земель, прокладка, капитальный ремонт, реконструкция автомобильных дорог общего пользования, текущий ремонт дорожного покрытия, тротуаров, пешеходных и велосипедных дорог, проведение санитарных рубок, рубок ухода, а также ландшафтных рубок древесно-кустарниковой растительности, благоустройство и озеленение с использованием элементов, не нарушающих визуального восприятия объектов культурного наследия, установка элементов благоустройства территории (скамьи, урны, цветочницы, мемориальные сооружения), установка временных элементов информационно-декоративного оформления (мобильные информационные конструкции), включая праздничное, а также временных строительных ограждающих конструкций. Запрещается: хозяйственная деятельность, создающая угрозу повреждения, разрушения или уничтожения объектов культурного наследия, использование строительных технологий, создающих динамические нагрузки и оказывающих негативное воздействие на объекты культурного наследия, выявленные объекты культурного наследия и объекты историко-градостроительной среды, размещение объектов, превышающих параметры, установленные режимами использования земель и требований к градостроительным регламентам, прокладка наземных и надземных инженерных коммуникаций (теплотрасс, газопровода, новых линий высоковольтных электропередач), размещение рекламных конструкций, спутниковых телевизионных антенн выше уровня верха кровли зданий и сооружений, установка ограждений, нарушающих визуальное восприятие объектов культурного наследия, использование сплошных бетонных и металлических ограждений, использование рекламных растяжек, над автодорогами и проездами, рекламных конструкций на фасадах зданий, площадь которых составляет более 10 процентов от площади фасадов зданий. Требованиями к градостроительным регламентам в границах территории зоны регулирования застройки и хозяйственной деятельности Объекта в границах регламентного участка ''Р3-7'' разрешается: строительство объектов капитального строительства с высотными параметрами не более 15 м до конька кровли, использование в отделке фасадов натуральных материалов (натуральный камень, кирпич, дерево, штукатурка с окраской). Если вам понравился объект, звоните, согласуем комфортные и выгодные условия сделки!Наша компания входит в 3-йку лучших агентств города Сергиев Посад и наши услуги сертифицированы Гильдией риэлторов Московской области.Мы поможем: продать, купить, проверить, юридически сопроводить сделку, застраховать сделку, подобрать недвижимость, одобрить ипотеку, решить земельные вопросы, арендовать и сдать в найм, оформить налоговый вычет и правильно проконсультировать по налогам при продаже недвижимости. Будем рады сотрудничеству! С нами ипотека дешевле!Подбор новостроек бесплатный по г Москве и Московской область, и без первоначального взноса.